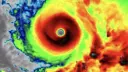
El poderoso huracán Melissa toca tierra en Jamaica como categoría 5

Seleccione idioma

Spanish

Down Icon

Seleccione país

Spain

Down Icon

Cargando